702610 | 5 Lotes frente al Shopping Las To... | BuscadorProp
🔍

¡Buscamos por vos! ¡Tu búsqueda a todas las inmobiliarias!

¡Quiero probarlo!

compartir Compartir:

  • facebook
  • whatsapp
  • envelope
  • link
Quitar la propiedad de favoritos Guardá tu propiedad favorita

Lote / Terreno en Venta en Canning

direccion Formosa 532, Canning
direccion Ver en mapa
Venta
USD 2.800.000
casas Lotes / Terrenos
Superficie total 2619m2

Publicado hace 21 días

5 Lotes frente al Shopping Las Toscas

Ideal inversionistas!!! 5 parcelas sobre calle Formosa frente al shopping Las Toscas. A metros de ruta 58. 
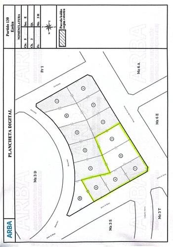
Superficie total aproximada de 2619m². Se adjunta a las imágenes la plancheta digital.
Hay dos viviendas construidas en la parcela 5. Una de ellas de dos plantas. P.B. con galería tipo quincho, cocina, living comedor, baño completo, habitaión o cuarto con entrepiso, lavadero, galpón. En P.A. Pasillo distribuidor con dos habitaciones con placard.
En la parte delantera de la parcela, una casa tipo chalet, con espacioso living comedor, cocina, baño completo antebaño y amplia habitación con doble ventanal.
Todas las aberturas con rejas. Todos los espacios luminosos con ventanas. En el exterior una pileta de hormigón ovalada de 2m 20cm de profundidad aprox.
Servicios: Gas natural, electricidad, cloacas pasan por la puerta y tienen permiso reciente de conexión. Pendiente el servicio de agua corriente en la zona.
La ubicación es estratégica para cualquier tipo de emprendimiento. Zona comercial por excelencia y en constante crecimiento.
Se toma propiedad a convenir en parte de pago.

Ubicación Ubicación

direccion Formosa 532, Canning
  • aviso
    Reportar aviso

¿Querés reportar algún problema con este aviso?

Seleccioná el motivo:

cerrar

Contactar a la inmobiliaria

Contactar a la inmobiliaria Cerrar modal

Bonafé Propiedades

5 Lotes frente al Shopping Las Toscas

Propiedad